
´°À®¥¤¥á¡¼¥¸[½Ðŵ¡§¼¯Åç·úÀß]
¡¡¤ß¤Ê¤È¤ß¤é¤¤21Ãæ±ûÃ϶è58³¹¶è¤Ç·úÀßÃæ¤Î¡Ö²£ßÀ¥²¡¼¥È¥¿¥ï¡¼¡×(ÃϾå22³¬¡¢ºÇ¹â¹â¤µ109.56m)¤Î´°À®Í½ÁۿޤǤ¹¡£»ö¶È¼ç¤Ï¼¯Åç·úÀߤ¬Âåɽ´ë¶È¤È¤Ê¤ë¡¢»°°æ½»Í§³¤¾å²ÐºÒÊݸ±¡¢½»Í§À¸Ì¿Êݸ±Áê¸ß¤Î3¼Ò¤«¤é¤Ê¤ë´ë¶È¥°¥ë¡¼¥×¤Ç¤¹¡£

´°À®¥¤¥á¡¼¥¸[½Ðŵ¡§¼¯Åç·úÀß]
¡¡¥ª¥Õ¥£¥¹¤¬¥á¥¤¥ó¤È¤Ê¤ê¤Þ¤¹¤¬¥×¥é¥Í¥¿¥ê¥¦¥à¤âÊ»Àߤµ¤ì¤ë»ÜÀߤȤʤê¤Þ¤¹¡£¼«Ê¬¤ÎÃΤë¸Â¤ê¤Ç¤Ï¼þÊդˤϥץé¥Í¥¿¥ê¥¦¥à¤Ï¤Ê¤¤¤Î¤Ç¿·¤¿¤Ê̾½ê¤È¤Ê¤ê¤½¤¦¤Ç¤¹¡£

°ÌÃÖ¿Þ[½Ðŵ¡§¼¯Åç·úÀß]
¡¡¾ì½ê¤Ï¤ß¤Ê¤È¤ß¤é¤¤Àþ¡Ö¿·¹âÅç¡×±Ø¤ÎÌܤÎÁ°¤Ç¤¹¤¬¡¢JR¤Ê¤É³ÆÀþ¤Î¡Ö²£É͡ױؤ«¤é¤âÅÌÊâ6ʬ¤Îµ÷Î¥¤Ç¤¹¡£

¡¡¤Á¤ç¤Ã¤È¸Å¤¤¤Ç¤¹¤¬2020ǯ2·î8Æü¤Ë»£±Æ¤·¤¿¡Ö²£ßÀ¥²¡¼¥È¥¿¥ï¡¼¡×¤Î·úÀßÃϤǤ¹¡£±¦±ü¤Î¥¿¥ï¡¼¥Þ¥ó¥·¥ç¥ó¤Ï¡Ö¥Ñ¡¼¥¯¥¿¥ï¡¼²£ÉÍ¥¹¥Æ¡¼¥·¥ç¥ó¥×¥ì¥ß¥¢¡×(ÃϾå36³¬¡¢¹â¤µ140.3m)¤Ç¡¢±¦Â¦¤Ë¤Û¤ó¤Î¾¯¤·¤À¤±¼Ì¤Ã¤Æ¤¤¤ë¤Î¤¬¡Ö²£ÉÍ»°°æ¥Ó¥ë¥Ç¥£¥ó¥°¡×(ÃϾå30³¬¡¢¹â¤µ153m)¤Ç¤¹¡£

¡¡·úÀßÃϤ˥º¡¼¥à¤Ç¤¹¡£·úÃÛ¼ç¤Î1¼Ò¤Ï¼¯Åç·úÀߤΤ¿¤á¤â¤Á¤í¤óÀ߷׼ԤȻܹ©¼Ô¤Ï¼¯Åç·úÀߤǤ¹¤¬¡¢»Ü¹©¼Ô¤Ï¼¯Å硦Ŵ·ú¡¦¾®Ëó·úÀß´ë¶ÈÂΤȤʤäƤ¤¤Þ¤¹¡£

¡¡²£Éͱؤ˶ᤤËÌÀ¾Â¦¤«¤é»£±Æ¡£

¡¡À¾Â¦¤Ë¤¢¤ëÊâÆ»¶¶¤«¤é»£±Æ¡£±¦¤ÎÇò¤¤¥Ó¥ë¤Ï´°À®¤·¤¿¤Ð¤«¤ê¤ÎµþµÞ¥°¥ë¡¼¥×¤ÎËܼҥӥë¤Ç¤¹¡£

¡¡·úÃ۷ײè¤Î¤ªÃΤ餻¤Ç¤¹¡£2021ǯ7·îËöÆü¤Î½×¹©Í½Äê¤Ç¤¹¡£³«¶È¤Ï2021ǯÅߺ¢¤ÎͽÄê¤È¤Ê¤Ã¤Æ¤¤¤Þ¤¹¡£

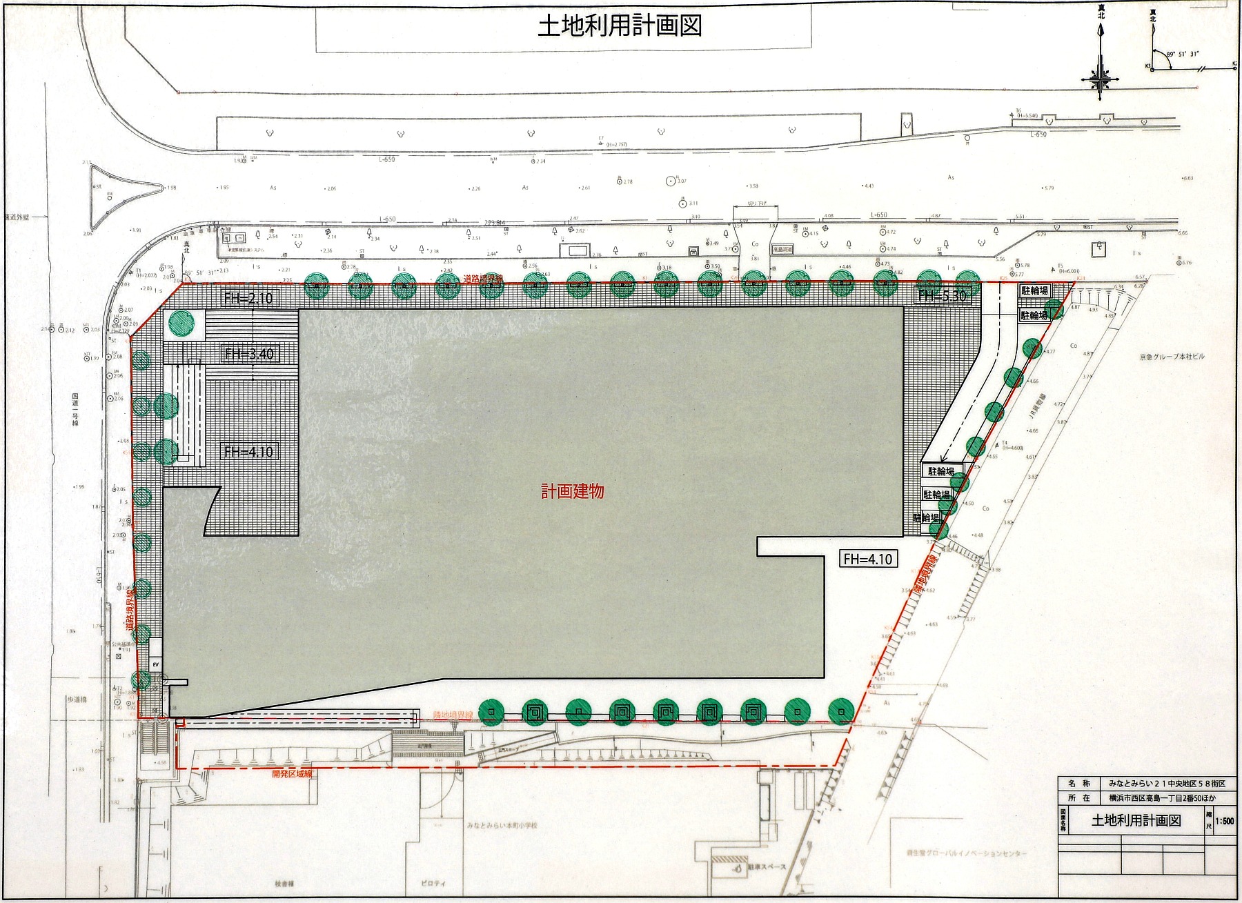
¡¡³«È¯»ö¶È¤Î¤ªÃΤ餻¤Ç¤¹¡£ÀßÃÖÅö½é¤ÏÃϾå21³¬·ú¤Æ¤Î·×²è¤Ç¤·¤¿¤¬22³¬·ú¤Æ¤ËÊѹ¹¤È¤Ê¤Ã¤Æ¤¤¤Þ¤¹¡£¤¿¤À¹â¤µ¤Ï112m¤«¤é109.56m¤Ë¾¯¤·Ä㤯¤Ê¤Ã¤Æ¤¤¤Þ¤¹¡£

¡¡Êѹ¹Á°¤ÎÅÚÃÏÍøÍѷײè¿Þ¤Ï´Êñ¤Ê¿Þ¤À¤Ã¤¿¤¿¤á¥º¡¼¥à¤Ï¾Êά¤·¤Þ¤¹¡£

¡¡ÅÔ»Ô·Ê´Ñ·ÁÀ®¹Ô°Ù¤Î¤ªÃΤ餻¤Ç¤¹¡£

¡¡ÇÛÃֿޤǤ¹¡£

¡¡À¾Â¦¤ÎΩÌ̿ޤǤ¹¡£

¡¡Æî¦¤ÎΩÌ̿ޤǤ¹¡£
¢£Êª·ï³µÍ×¢£
̾¾Î¡¨²£ßÀ¥²¡¼¥È¥¿¥ï¡¼
²¾¾Î¡§(²¾¾Î)²£ßÀ¥²¡¼¥È¥¿¥ï¡¼¥×¥í¥¸¥§¥¯¥È
½êºßÃÏ¡§¿ÀÆàÀ²£ÉÍ»ÔÀ¾¶è¹âÅç°ìÃúÌÜ2ÈÖ50¤Û¤«
ÍÑÅÓ¡§»ö̳½ê¡¢°û¿©/ʪÈÎŹÊÞ¡¢½¸²ñ½ê¡¢¥×¥é¥Í¥¿¥ê¥¦¥à
³¬¿ô¡§ÃϾå22³¬¡¢Ãϲ¼1³¬
¹â¤µ¡§109.56m
ÉßÃÏÌÌÀÑ¡§9,308.92Ö
·úÃÛÌÌÀÑ¡§6,153.08Ö
±ä¾²ÌÌÀÑ¡§83,730.30Ö
·úÃۼ硧¼¯Åç·úÀß(Âåɽ)¡¢»°°æ½»Í§³¤¾å²ÐºÒÊݸ±¡¢½»Í§À¸Ì¿Êݸ±Áê¸ß
Àß·×¼Ô¡§¼¯Åç·úÀß
»Ü¹Ô¼Ô¡§¼¯Å硦Ŵ·ú¡¦¾®Ëó·úÀß´ë¶ÈÂΡÊÂåɽ´ë¶È¡¨¼¯Åç·úÀß¡Ë
¹©´ü¡§2019ǯ4·î1ÆüÃ幩¡Á2021ǯ7·îËöÆü½×¹©Í½Äê
³«¶È¡§2021ǯÅßͽÄê
- ¥«¥Æ¥´¥ê
- ²£ÉÍ»Ô














