
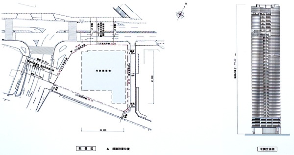
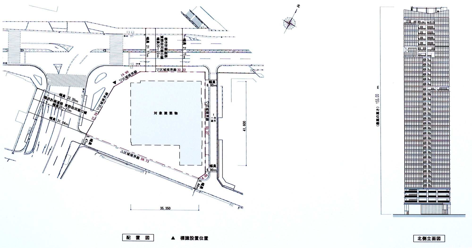
ÇÛÃÖ¿Þ¡¦Ë̦ΩÌÌ¿Þ[½Ðŵ¡§·úÃ۷ײè¤Î¤ªÃΤ餻]
¡¡Âçºå¾ë¤Ë¤âÅ·Ëþ¶¶±Ø¤Ë¤â¶á¤¤Ê¬¾ù¥¿¥ï¥Þ¥ó¡Ö(²¾¾Î)Âçºå»ÔÃæ±û¶èÂç¼êÁ°°ìÃúÌÜ¥×¥í¥¸¥§¥¯¥È¡×(ÃϾå39³¬¡¢¹â¤µ155m)¤ÎÇÛÃÖ¿Þ¤ÈΩÌ̿ޤǤ¹¡£ÂçÏ¥ϥ¦¥¹¹©¶È¤Ë¤è¤ë¥¿¥ï¡¼¥Þ¥ó¥·¥ç¥ó¤Ç¡¢·úÀßÃÏ¤Ïµì¥Æ¥ì¥ÓÂçºåËܼҥӥë¡ÊÂç¼êÁ°¥»¥ó¥¿¡¼¥Ó¥ë¥Ç¥£¥ó¥°¡Ë¤ÈÆü·ÐÂçºåÅÅÇȲñ´Û¤ÎÀ×ÃϤȤʤäƤ¤¤Þ¤¹¡£Î¾´û¸¥Ó¥ë¤Ï´û¤Ë²òÂΤµ¤ì¤Æ¤ª¤ê¡¢2026ǯ3·î¾å½Ü¤ËÃ幩ͽÄê¤È¤Ê¤Ã¤Æ¤¤¤Þ¤¹¡£¤³¤Îµ»ö¤Ç¤ÏƱ¥¿¥ï¥Þ¥ó¤Î³µÍפä·úÀß¾õ¶·¡Ê2025ǯ11·î29Æü»þÅÀ¡Ë¡¢ÃÏ¿ÞÅù¤òºÜ¤»¤Æ¤¤¤Þ¤¹¡£
³¤¤òÆÉ¤à
- ¥«¥Æ¥´¥ê
- Âçºå»Ô
















