
¾Íè´°À®Í½ÁÛ¿Þ[½Ðŵ¡§ÅìµþÅÔ]
¡¡ÆüËܶ¶¤Ç·×²è¤µ¤ì¤Æ¤¤¤ë¡ÖÆüËܶ¶°ìÃúÌÜÅìÃ϶èÂè°ì¼ï»Ô³¹ÃϺƳ«È¯»ö¶È¡×¤Ë¤ª¤¤¤Æ¡¢»ö¶È·×²è½ñ¤Î½ÄÍ÷¼ê³¤¤¬³«»Ï¤µ¤ì¤¿¤³¤È¤¬·úÀßÄÌ¿®¿·Ê¹¤äÆü´©·úÀß¹©¶È¿·Ê¹¤Ë·ÇºÜ¤µ¤ì¤Þ¤·¤¿¡£º£¤Þ¤Ç¤Î¾ðÊó¤Ç¤ÏA³¹¶è¤¬ÃϾå40³¬¡¢¹â¤µÌó240m¤Î¥ª¥Õ¥£¥¹¥Ó¥ë¤ÈB³¹¶è¤¬ÃϾå52³¬¡¢¹â¤µÌó225m¤Î¥¿¥ï¡¼¥Þ¥ó¥·¥ç¥ó¤È¤Ê¤Ã¤Æ¤¤¤Þ¤·¤¿¤¬¡¢A³¹¶è¤¬ÃϾå40³¬¡¢¹â¤µ205m¡¢B³¹¶è¤¬ÃϾå51³¬¡¢¹â¤µ213m¤ÈÄ㤯¤Ê¤Ã¤Æ¤¤¤Þ¤¹¡£¤½¤Î¤¿¤á¤³¤Î´°À®Í½ÁÛ¿Þ¤è¤êÄ㤯¤Ê¤ê¤Þ¤¹¡£2024ǯÅٰʹߤ˴û¸·úʪ¤Î²òÂΤËÃå¼ê¤·¡¢A³¹¶è¤Ï2026ǯ10·î¡¢B³¹¶è¤Ï2028ǯ2·î¤«¤é¿·ÃÛ¹©»ö¤ËÃ幩ͽÄê¤È¤Ê¤Ã¤Æ¤¤¤Þ¤¹¡£¤³¤Îµ»ö¤Ç¤ÏƱºÆ³«È¯¤Î³µÍפ丽¶·¡¢ÃÏ¿ÞÅù¤òºÜ¤»¤Æ¤¤¤Þ¤¹¡£
ÆüËܶ¶°ìÃúÌÜÅìÃ϶è¤Ë¤Ä¤¤¤Æ

ÇÛÃַײè¿Þ[½Ðŵ¡§ÅìµþÅÔ]
¡¡¡ÖÆüËܶ¶°ìÃúÌÜÅìÃ϶èÂè°ì¼ï»Ô³¹ÃϺƳ«È¯»ö¶È¡×¤ÏA³¹¶è¡ÁE³¹¶è¤Þ¤Çʬ¤«¤ì¤¿¡¢»Ü¹©¶è°èÌó3.6ha¡¢Áí±ä¾²ÌÌÀÑÌó38.4ËüÖ¡¢Áí»ö¶ÈÈñ2942²¯4100Ëü±ß¤È¤Ê¤ëĶÂ絬ÌϺƳ«È¯¤Ç¤¹¡£
¡¡A³¹¶è¤Îµ¬ÌϤÏÃϾå40³¬¡¢Ãϲ¼4³¬¡¢¹â¤µ205m¡¢±ä¾²ÌÌÀÑÌó27Ëü4000֤ȤʤäƤ¤¤Þ¤¹¡£°ÊÁ°¤Î¾ðÊó¤Ç¤Ï¹â¤µÌó240m¤Ç¤·¤¿¤¬¡¢±ä¾²ÌÌÀѤϤ½¤Î¤Þ¤Þ¤Ë¹â¤µ¤¬Â礤¯ºï¤é¤ì¤Æ¤¤¤ë¤¿¤á¡¢¶²¤é¤¯Åã²°Éôʬ¤¬ÂçÉý¤Ë¥«¥Ã¥È¤µ¤ì¤¿¤â¤Î¤È»×¤ï¤ì¤Þ¤¹¡£
¡¡B³¹¶è¤Îµ¬ÌϤÏÃϾå51³¬¡¢Ãϲ¼3³¬¡¢¹â¤µ213m¡¢±ä¾²ÌÌÀÑÌó11Ëü֤ȤʤäƤ¤¤Þ¤¹¡£°ÊÁ°¤Î¾ðÊó¤Ç¤ÏÃϾå52³¬¡¢¹â¤µÌó225m¡¢±ä¾²ÌÌÀÑÌó12ËüÖ¡¢Áí¸Í¿ôÌó670¸Í¤À¤Ã¤¿¤Î¤Ç¤³¤Á¤é¤Ïµ¬ÌϽ̾®¤È¤Ê¤ê¤Þ¤¹¡£
¡¡C¡¦D¡¦E³¹¶è¤Ï¼óÅÔ¹âÃϲ¼²½¤Ë´ØÏ¢¤·¤¿¾ì½ê¤È¤Ê¤Ã¤Æ¤ª¤ê¡¢C³¹¶è¤ÏÊ¿²°·ú¤Æ±ä¾²ÌÌÀÑÌó50Ö¡¢D³¹¶è¤ÏÃϾå2³¬¡¢±ä¾²ÌÌÀÑÌó150Ö¡¢E³¹¶è¤ÏÃϾå2³¬¡¢±ä¾²ÌÌÀÑÌó250֤ξ®µ¬ÌϤʸø¶¦¡¦¸ø±×»ÜÀߤ¬·úÀߤµ¤ì¤Þ¤¹¡£
¡¡»ö¶È¼Ô¤ÏÆüËܶ¶°ìÃúÌÜÅìÃ϶è»Ô³¹ÃϺƳ«È¯½àÈ÷Áȹç¤ÇÅìµÞÉÔÆ°»º¡¢»°°æÉÔÆ°»º¡¢ÆüÅ´¶½ÏÂÉÔÆ°»º¡¢À¶¿å·úÀߤ¬»ö¶È¶¨ÎϼԤȤ·¤Æ»²²è¤·¤Æ¤¤¤Þ¤¹¡£º£¸å¤ÏÀßΩǧ²Ä¤È¸¢ÍøÊÑ´¹¼ê³¤¤ò·Ð¤Æ¡¢2024ǯÅٰʹߤ«¤é´û¸·úʪ¤Î²òÂι©»ö¤ËÃå¼ê¤·¤Þ¤¹¡£
¡¡³Æ³¹¶è¤Î¹©´ü¤ÏA³¹¶è¤¬2026ǯ10·îÃ幩¡¢2032ǯ1·î½×¹©Í½Äê¡¢B³¹¶è¤¬2028ǯ2·îÃ幩¡¢2032ǯ3·î½×¹©Í½Äê¡¢C¡¦D¡¦E³¹¶è¤Ï2037ǯ4·îÃ幩¡¢2038ǯ6·î½×¹©Í½Äê¤È¤Ê¤Ã¤Æ¤¤¤Þ¤¹¡£C¡¦D¡¦E³¹¶è¤Ï¼óÅÔ¹âÃϲ¼²½¤Î´°Î»¸å¤Ë¿·ÃÛ¹©»ö¤ËÃå¼ê¤·¤¹¤ë¤¿¤á¹©´ü¤¬¿ïʬ¤ÈÀè¤Ë¤Ê¤Ã¤Æ¤¤¤Þ¤¹¡£

ÃÇÌÌ¿Þ[½Ðŵ¡§ÅìµþÅÔ]
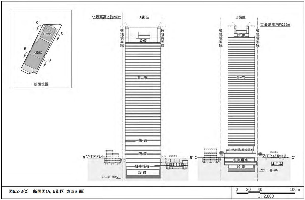
¡¡A¡¦B³¹¶è¤Î°ÊÁ°¸ø³«¤µ¤ì¤¿ÃÇÌ̿ޤǤ¹¡£A³¹¶è¤Ï¥ª¥Õ¥£¥¹¤¬¥á¥¤¥ó¤ÇÄãÁØÉô¤Ë¤Ï¾¦¶È»ÜÀߤ䥫¥ó¥Õ¥¡¥ì¥ó¥¹»ÜÀߤ¬Æþ¤ê¤Þ¤¹¡£
¡¡B³¹¶è¤Ï½»Âð(Ìó568¸Í)¤Î¥¿¥ï¡¼¥Þ¥ó¥·¥ç¥ó¤Ç¡¢ÄãÁØÉô¤Ë¤Ï°åÎÅ¡¦»Ò°é¤Æ¤ÎÀ¸³è»Ù±ç»ÜÀߤ¬Æþ¤ê¡¢ÃæÁØÉô¤Ë¤Ï¥µ¡¼¥Ó¥¹¥¢¥Ñ¡¼¥È¥á¥ó¥È¡¢Ãæ¹âÁØÉô¤Ë¤Ï½»Âð¤Ï¹ñºÝ¿å½à¤Îµï½»»ÜÀߡʹñ²ÈÀïά½»Âð¡Ë¤¬Æþ¤ê¤Þ¤¹¡£Æü´©·úÀß¹©¶È¿·Ê¹¤Îµ»ö¤Ë¤è¤ë¤Èʬ¾ù½»Âð¤â´Þ¤Þ¤ì¤ë¤È¤Î¤³¤È¤Ç¤¹¡£

ÃÇÌÌ¿Þ[½Ðŵ¡§ÅìµþÅÔ]
¡¡·×²è¤ËÊѹ¹¤¬¤Ê¤±¤ì¤ÐA³¹¶è¤Ï¾¼ÏÂÄ̤ê¤Î²¼¤òÄ̤ëÅÔ±ÄÀõÁðÀþ¡ÖÆüËܶ¶¡×±Ø¤Èľ·ë¤È¤Ê¤ê¤Þ¤¹¡£¤Þ¤¿¡¢A³¹¶è¤Ï¹â¤µ240m¤«¤é205m¤Ø¤È35m¤âÄ㤯¤Ê¤Ã¤Æ¤¤¤Þ¤¹¤¬¡¢Åã²°Éôʬ¤¬¤Ê¤Ê¤ê¹â¤«¤Ã¤¿¤Î¤Ç¤³¤ÎÉôʬ¤¬ºï¤é¤ì¤ë¤â¤Î¤È»×¤ï¤ì¤Þ¤¹¡£

Ê¿Ì̵ڤÓÃÇÌÌ¥¤¥á¡¼¥¸[½Ðŵ¡§ÅìµþÅÔ]
¡¡C¡¦D¡¦E³¹¶è¤ÎÊ¿Ì̵ڤÓÃÇÌÌ¥¤¥á¡¼¥¸¤Ç¤¹¡£¤³¤ÎÊÕ¤ê¤Ç¤Ï¼óÅÔ¹â®ƻϩÆüËܶ¶¶è´ÖÃϲ¼²½»ö¶È¤ËÍÑÃϤòÄ󶡤¹¤ë¤³¤È¤Ë¤Ê¤ê¡¢¼óÅԹ⤬Ãϲ¼¤ËÀø¤ë¥ë¡¼¥È¤Î¾å¤Ë¤Ï¿Í¹©´ðÈפ¬¹½ÃÛ¤µ¤ì¹¾ì¤¬À°È÷¤µ¤ì¤Þ¤¹¡£¾å¶õ¤Î¹¾¸Í¶¶JCT¤Ï°ìÉôűµî¤µ¤ì¡¢¼þÊդΥӥë¤â²òÂΤµ¤ì¤Þ¤¹¡£

¾Íè´°À®Í½ÁÛ¿Þ[½Ðŵ¡§ÅìµþÅÔ]
¡¡C¡¦D¡¦E³¹¶è¤Î´°À®Í½ÁۿޤǤ¹¡£¹¾¸Í¶¶JCT¤¬°ìÉôűµî¤µ¤ì¤ë¤¿¤áÂ礤¯·Ê¿§¤¬ÊѤï¤ê¤Þ¤¹¤¬¡¢´°À®¤¹¤ë¤Î¤Ï¼óÅÔ¹âÃϲ¼²½´°Î»¸å¤Î¤¿¤á´°À®Í½Äê¤Ï2038ǯ6·î¤ÇÌó15ǯÅ٤ȤʤäƤ¤¤Þ¤¹¡£

·×²èÃϰÌÃÖ¿Þ(¾ÜºÙ)[½Ðŵ¡§ÅìµþÅÔ]
¡¡¸½ºß¤Î³Æ³¹¶èÆâ¤Ë¤ÏÊ£¿ô¤Î·úʪ¤¬¤¢¤ê¡¢³¹¶èÆâ¤Ç°ìÈÖÂ礤ʷúʪ¤ÏB³¹¶è¤Î·×²èÃϤˤ¢¤ë¡ÖÆüËܶ¶Í¹ÊضɡפȤʤäƤ¤¤Þ¤¹¡£
°ÌÃÖ¿Þ

·×²èÃϰÌÃÖ¿Þ(¹°è)[½Ðŵ¡§ÅìµþÅÔ]
¡¡·×²èÃϤÏÅÔ±ÄÀõÁðÀþ¡ÖÆüËܶ¶¡×±Ø¤ÎÌܤÎÁ°¤Ç±ØÄ¾·ëͽÄê¤È¤Ê¤Ã¤Æ¤¤¤Þ¤¹¡£
¸½¶·

¡¡2020ǯ12·î18Æü¤Ë¥Ø¥ê¤«¤é»£±Æ¤·¤¿ÆüËܶ¶ÊýÌ̤Ǥ¹¡£ÀÖ¤¤Ìֳݤ±¤ò¤·¤¿¾ì½ê¤¬¡ÖÆüËܶ¶°ìÃúÌÜÅìÃ϶èÂè°ì¼ï»Ô³¹ÃϺƳ«È¯»ö¶È¡×¤ÎA¡¦B³¹¶è¤È¤Ê¤Ã¤Æ¤¤¤Þ¤¹¡£¼êÁ°¤Ë¹â¤µ205m¤Î͹âÁØ¥ª¥Õ¥£¥¹¥Ó¥ë¡¢±ü¤Ë¹â¤µ213m¤Î¥¿¥ï¡¼¥Þ¥ó¥·¥ç¥ó¤¬·úÀߤµ¤ì¤Þ¤¹¡£

¡¡Åìµþ±ØÂ¦¤«¤é»£±Æ¡£»£±Æ»þ¤Ï´û¸¥Ó¥ë¤Î²òÂÎÁ°¤Ç¤·¤¿¤¬¼êÁ°¤ÏƱºÆ³«È¯¤È¥Ç¥Ã¥¤ÇÀܳͽÄê¤Î¡ÖÆüËܶ¶°ìÃúÌÜÃæÃ϶èÂè°ì¼ï»Ô³¹ÃϺƳ«È¯»ö¶È¡×(ÃϾå52³¬¡¢¹â¤µ284m)¤Î·úÀßÃϤǡ¢¸½ºß¤ÏÃϾåÉô¤Î·úÀߤ¬»Ï¤Þ¤Ã¤Æ¤¤¤Þ¤¹¡£

¡¡¾¼ÏÂÄ̤ê¤È±ÊÂåÄ̤꤬¸òº¹¤¹¤ë¹¾¸Í¶¶°ìÃúÌܸòº¹ÅÀ¤«¤é¸«¤¿¡ÖÆüËܶ¶°ìÃúÌÜÅìÃ϶èÂè°ì¼ï»Ô³¹ÃϺƳ«È¯»ö¶È¡×¤Î·×²èÃϤǤ¹¡£¤³¤Á¤é¤ÏA³¹¶è¦¤Ç¡¢2024ǯÅÙ¤«¤é²òÂι©»ö¤¬»Ï¤Þ¤ê¡¢2026ǯ10·î¤Ë¤Ï¿·ÃÛ¹©»ö¤ËÃ幩ͽÄê¤È¤Ê¤Ã¤Æ¤¤¤Þ¤¹¡£

¡¡ÃϾå51³¬¡¢¹â¤µ213m¤Î¥¿¥ï¡¼¥Þ¥ó¥·¥ç¥ó¤¬·úÀߤµ¤ì¤ëB³¹¶èÊýÌ̤Ǥ¹¡£°ÊÁ°¤Î¾ðÊó¤Ç¤ÏA³¹¶è¤Î´°À®¸å¤ËB³¹¶è¤Ë¤¢¤ë¡ÖÆüËܶ¶Í¹Êضɡפ¬°Üž¡¦²òÂΤȤʤ꿷ÃÛ¹©»ö¤ËÃå¼ê¤È¤µ¤ì¤Æ¤¤¤Þ¤·¤¿¤¬¡¢º£²ó¤Î¾ðÊó¤Ç¤Ï2028ǯ2·î¤Ë¿·ÃÛ¹©»ö¤ËÃ幩ͽÄê¤È¤Ê¤Ã¤Æ¤¤¤ë¤¿¤á¡¢A³¹¶è¤Î´°À®¤òÂÔ¤¿¤º¤Ë¹©»ö¤¬»Ï¤Þ¤ë¤è¤¦¤Ç¤¹¡£

¡¡C¡¦D¡¦E³¹¶èÊýÌ̤Ǥ¹¡£¼óÅÔ¹â¤ÎÇØ¸å¤Ë¤¢¤ë¥Ó¥ë¤Ï¼óÅÔ¹âÃϲ¼²½¤Î¹©»ö¤Î¤¿¤á²òÂΤµ¤ì¡¢¹â²Í¤Î°ìÉô¤âűµî¤µ¤ì¡¢¼óÅÔ¹âÃϲ¼²½¤Î´°Î»¸å¤Ë¤Ï¹¾ìÅù¤¬À°È÷¤µ¤ì¤Þ¤¹¡£
ÃÏ¿Þ
ʪ·ï³µÍ×
¢£Êª·ï³µÍ×(A³¹¶è)¢£
»ö¶È̾¡§ÆüËܶ¶°ìÃúÌÜÅìÃ϶èÂè°ì¼ï»Ô³¹ÃϺƳ«È¯»ö¶È¡ÊA³¹¶è¡Ë
½êºßÃÏ¡§ÅìµþÅÔÃæ±û¶èÆüËܶ¶£±ÃúÌÜ
¸òÄÌ¡§ÅÔ±ÄÀõÁðÀþ¡ÖÆüËܶ¶¡×±Ø ľ·ëͽÄê
¡¡¡¡¡¡Åìµþ¥á¥È¥í¶äºÂÀþ¡¦ÅìÀ¾Àþ¡ÖÆüËܶ¶¡×±Ø
¡¡¡¡¡¡Åìµþ¥á¥È¥íȾ¢ÌçÀþ¡Ö»°±ÛÁ°¡×±Ø
ÍÑÅÓ¡§¶È̳¡¢¾¦¶È¡¢¥«¥ó¥Õ¥¡¥ì¥ó¥¹¡¢Ãó¼Ö¾ìÅù
³¬¿ô¡§ÃϾå40³¬¡¢Ãϲ¼4³¬
¹â¤µ¡§Ìó205m
¹½Â¤¡§S¤ °ìÉô SRC¤
ÉßÃÏÌÌÀÑ¡§Ìó10,620֡ʰÊÁ°¤Î¾ðÊó¡Ë
·úÃÛÌÌÀÑ¡§Ìó9,000֡ʰÊÁ°¤Î¾ðÊó¡Ë
±ä¾²ÌÌÀÑ¡§Ìó274,000Ö
»ö¶È¼Ô¡§ÆüËܶ¶°ìÃúÌÜÅìÃ϶è»Ô³¹ÃϺƳ«È¯½àÈ÷Áȹç
»ö¶È¶¨Îϼԡ§ÅìµÞÉÔÆ°»º¡¢»°°æÉÔÆ°»º¡¢ÆüÅ´¶½ÏÂÉÔÆ°»º¡¢À¶¿å·úÀß
¥³¥ó¥µ¥ë¥¿¥ó¥È¡§ÆüËÜÀß·×
¹©´ü¡§2026ǯ10·îÃ幩¡Á2032ǯ1·î½×¹©Í½Äê
¢£Êª·ï³µÍ×(B³¹¶è)¢£
»ö¶È̾¡§ÆüËܶ¶°ìÃúÌÜÅìÃ϶èÂè°ì¼ï»Ô³¹ÃϺƳ«È¯»ö¶È¡ÊB³¹¶è¡Ë
½êºßÃÏ¡§ÅìµþÅÔÃæ±û¶èÆüËܶ¶£±ÃúÌÜ
¸òÄÌ¡§ÅÔ±ÄÀõÁðÀþ¡ÖÆüËܶ¶¡×±Ø ľ·ëͽÄê
¡¡¡¡¡¡Åìµþ¥á¥È¥í¶äºÂÀþ¡¦ÅìÀ¾Àþ¡ÖÆüËܶ¶¡×±Ø
¡¡¡¡¡¡Åìµþ¥á¥È¥íȾ¢ÌçÀþ¡Ö»°±ÛÁ°¡×±Ø
ÍÑÅÓ¡§½»Âð¡¢¥µ¡¼¥Ó¥¹¥¢¥Ñ¡¼¥È¥á¥ó¥È¡¢À¸³è»Ù±ç»ÜÀß¡¢Ãó¼Ö¾ìÅù
Áí¸Í¿ô¡§568¸Í
³¬¿ô¡§ÃϾå51³¬¡¢Ãϲ¼3³¬
¹â¤µ¡§Ìó213m
¹½Â¤¡§RC¤
ÉßÃÏÌÌÀÑ¡§Ìó5,450֡ʰÊÁ°¤Î¾ðÊó¡Ë
·úÃÛÌÌÀÑ¡§Ìó3,800֡ʰÊÁ°¤Î¾ðÊó¡Ë
±ä¾²ÌÌÀÑ¡§Ìó110,000Ö
»ö¶È¼Ô¡§ÆüËܶ¶°ìÃúÌÜÅìÃ϶è»Ô³¹ÃϺƳ«È¯½àÈ÷Áȹç
»ö¶È¶¨Îϼԡ§ÅìµÞÉÔÆ°»º¡¢»°°æÉÔÆ°»º¡¢ÆüÅ´¶½ÏÂÉÔÆ°»º¡¢À¶¿å·úÀß
¥³¥ó¥µ¥ë¥¿¥ó¥È¡§ÆüËÜÀß·×
¹©´ü¡§2028ǯ2·îÃ幩¡Á2032ǯ3·î½×¹©Í½Äê
¢§·úÀßÄÌ¿®¿·Ê¹¡Ê2023ǯ12·î15Æü¡Ë
ÆüËܶ¶°ìÃúÌÜÅìºÆ³«È¯/»ö¶ÈÈñ¤Ï2942²¯/26ǯ10·î¤«¤é½ç¼¡Ã幩
¢§Æü´©·úÀß¹©¶È¿·Ê¹¡Ê2023ǯ12·î15Æü¡Ë
ÆüËܶ¶°ìÃúÌÜÅìÃÏ¶èºÆ³«È¯¡ÊÅìµþÅÔÃæ±û¶è¡Ë¡¿»ö¶ÈÈñ£²£¹£°£°²¯±ß¡¢£²£¶Ç¯¿·ÃÛÃ幩
- ¥«¥Æ¥´¥ê
- Ãæ±û¶è







