
³°´Ñ¥¤¥á¡¼¥¸¥Ñ¡¼¥¹[½Ðŵ¡§¹Åç»Ô]
¡¡¹Åç»ÔÃæ¶è¤Î´ðÄ®Ãó¼Ö¾ì¤äµì¹ÅçÄ«Æü¥Ó¥ëÀ×ÃϤʤɤκƳ«È¯¡Ö´ðÄ®ÁêÀ¸ÄÌÃ϶èÂè°ì¼ï»Ô³¹ÃϺƳ«È¯»ö¶È¡×(ÃϾå31³¬¡¢¹â¤µÌó160m)¤Î´°À®Í½ÁۿޤǤ¹¡£ÃæÔ¢¿·Ê¹¤Ë·ÇºÜ¤µ¤ì¤¿µ»ö¤Ë¤è¤ê2023ǯ12·î14Æü¤«¤é´û¸·úʪ¤Î²òÂι©»ö¤¬»Ï¤Þ¤ê¡¢2024ǯ10·î¤ËÃ幩¤¹¤ë¤³¤È¤¬È½ÌÀ¤·¤Þ¤·¤¿¡£¤³¤Îµ»ö¤Ç¤ÏƱºÆ³«È¯¤Î³µÍפ丽¶·¡¢ÃÏ¿ÞÅù¤òºÜ¤»¤Æ¤¤¤Þ¤¹¡£
´ðÄ®ÁêÀ¸ÄÌÃ϶è¤Ë¤Ä¤¤¤Æ

¥¾¡¼¥Ë¥ó¥°·×²è[½Ðŵ¡§¹Åç»Ô]
¡¡¡Ö´ðÄ®ÁêÀ¸ÄÌÃ϶èÂè°ì¼ï»Ô³¹ÃϺƳ«È¯»ö¶È¡×¤Ï¹ÅçÅÅÅ´¤ÎΩĮÄäα¾ì¤ÎÌܤÎÁ°¤ÎºÆ³«È¯¤Ç¡¢¹âÁØÅï¡¢ÊÑÅŽêÅï¡¢»Ô±ÄÃóÎØ¾ìÅï¤Ëʬ¤«¤ì¤Æ¤¤¤Þ¤¹¡£¹âÁØÅï¤Îµ¬ÌϤÏÃϾå31³¬¡¢Ãϲ¼1³¬¡¢¹â¤µÌó160m¡¢ÉßÃÏÌÌÀÑÌó7,500Ö¡ÊÁ´ÂΡˡ¢·úÃÛÌÌÀÑÌó5,900Ö¡ÊÁ´ÂΡˡ¢±ä¾²ÌÌÀÑÌó7Ëü7900֡ʹâÁØÅï¡Ë¡¢·úÃÛ¼ç¤ÏÅÔ»ÔºÆÀ¸µ¡¹½(Âåɽ)¡¢Ä«Æü¿·Ê¹¼Ò¡¢Ä«Æü¥Ó¥ë¥Ç¥£¥ó¥°¡¢Ãæ¹ñÅÅÎϥͥåȥ¥¯¤Ç2024ǯ10·îÃ幩¡¢2027ǯÅÙ½×¹©Í½Äê¤È¤Ê¤Ã¤Æ¤¤¤Þ¤¹¡£
¡¡¹âÁØÅï¤ÎÄãÁØÉô¤Ë¤ÏŹÊޤ仺¶È»Ù±ç»ÜÀßMIC¤Ê¤É¤¬ÇÛÃÖ¤µ¤ì¡¢ÃæÁØÉô¤Ï»ö̳½ê¡¢¹âÁØÉô¤Ï¥Û¥Æ¥ë¤Ë¤Ê¤ê¤Þ¤¹¡£¤Þ¤¿¡¢ÄãÁØÉô¤Ë¤Ï¹Å羦¹©²ñµÄ½ê¤¬Æþ¤ê¤Þ¤¹¡£

ÃÇÌÌ¿Þ[½Ðŵ¡§¹Åç»Ô]
¡¡¹âÁØÅï¤ÎÃÇÌ̿ޤò¸«¤ë¤ÈºÇ¾åÉô2Áؤγ¬¹â¤¬¹â¤¯¤Ê¤Ã¤Æ¤¤¤ë¤¿¤á¡¢¥ì¥¹¥È¥é¥óÅù¤¬ÇÛÃÖ¤µ¤ì¤ë¤³¤È¤Ë¤Ê¤ê¤½¤¦¤Ç¤¹¡£

ÇÛÃÖ¿Þ[½Ðŵ¡§¹Åç»Ô]
¡¡·×²èÃϤϹÅç»Ô±Ä´ðÄ®Ãó¼Ö¾ì¡¢ÊÑÅŽꡢ¤½¤·¤Æµì¹ÅçÄ«Æü¥Ó¥ëÀ×ÃϤÇÃó¼Ö¾ì¤È¤·¤ÆÍøÍѤµ¤ì¤Æ¤¤¤¿¾ì½ê¤Ç¡¢ºÆ³«È¯¸å¤Ï¹âÁØÅï¡¢ÊÑÅŽêÅï¡¢»Ô±ÄÃóÎØ¾ìÅï¤Î3Å郎ÇÛÃÖ¤µ¤ì¤Þ¤¹¡£
¡¡ÊÑÅŽêÅï¤Îµ¬ÌϤÏÃϾå5³¬¡¢¹â¤µ30m¡¢±ä¾²ÌÌÀÑÌó2,800Ö¡¢»Ô±ÄÃóÎØ¾ìÅï¤Îµ¬ÌϤÏÃϾå5³¬¡¢Ãϲ¼1³¬¡¢¹â¤µ20m¡¢±ä¾²ÌÌÀÑÌó5,600֤ǡ¢¹âÁØÅï¤ÈÊÑÅŽêÅï¤Ï2027ǯÅ٤ν׹©Í½Äê¤È¤Ê¤Ã¤Æ¤¤¤Þ¤¹¤¬¡¢»Ô±ÄÃóÎØ¾ìÅï¤Ï2029ǯÅ٤ν׹©Í½Äê¤Ç¤¹¡£

³°´Ñ¥¤¥á¡¼¥¸¥Ñ¡¼¥¹[½Ðŵ¡§¹Åç»Ô]
¡¡¹ÅçÅÅÅ´¤¬Ä̤ëÁêÀ¸Ä̤ꦤ«¤é¸«¤¿ÄãÁØÉô¤Î´°À®Í½ÁۿޤǤ¹¡£

³°´Ñ¥¤¥á¡¼¥¸¥Ñ¡¼¥¹[½Ðŵ¡§¹Åç»Ô]
¡¡ÁêÀ¸Ä̤ê±è¤¤¤Ë¤ÏÂ絬ÌÏ¤Ê¥Ô¥í¥Æ¥£¶õ´Ö¤¬À°È÷¤µ¤ì¤Þ¤¹¡£
Ê¿ÌÌ¿Þ

Ãϲ¼1³¬¡¢1³¬Ê¿ÌÌ¿Þ[½Ðŵ¡§¹Åç»Ô]
¡¡1³¬Éôʬ¤Ë¤Ï´û¸¤Îƻϩ¤¬¤¢¤ê¡¢¤½¤Îƻϩ¤ÏÉõº¿¤µ¤ì¤ë¤³¤È¤Ê¤¯1³¬Ê¬¤ÏʬÃǤµ¤ì¤Þ¤¹¡£

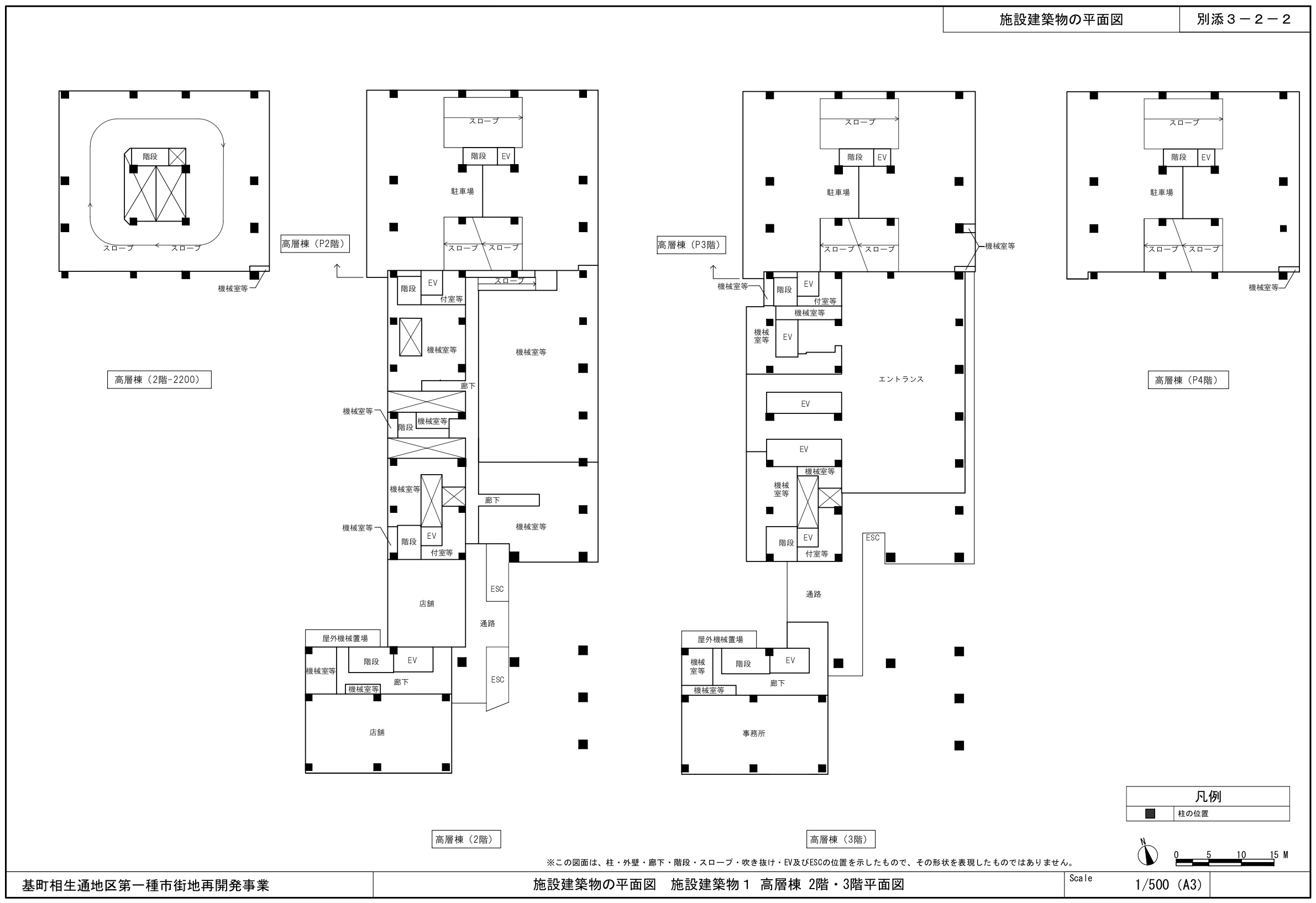
2³¬¡¢3³¬Ê¿ÌÌ¿Þ[½Ðŵ¡§¹Åç»Ô]
¡¡¤½¤ÎƻϩÉôʬ¤Ï2³¬°Ê¾å¤Ç·Ò¤¬¤ê¤Þ¤¹¡£3³¬¤Ë¤Ï¥ª¥Õ¥£¥¹¥¨¥ó¥È¥é¥ó¥¹¤¬Àߤ±¤é¤ì¤Þ¤¹¡£

4³¬¡¢5³¬Ê¿ÌÌ¿Þ[½Ðŵ¡§¹Åç»Ô]
¡¡4³¬¤«¤é¤¬¥á¥¤¥ó¤Î¥ª¥Õ¥£¥¹¥Õ¥í¥¢¤È¤Ê¤ê¤Þ¤¹¡£

6¡Á8³¬Ê¿ÌÌ¿Þ[½Ðŵ¡§¹Åç»Ô]
¡¡M7³¬Éôʬ¤Ç¥»¥Ã¥È¥Ð¥Ã¥¯¤·¤Þ¤¹¡£

9¡Á20³¬Ê¿ÌÌ¿Þ[½Ðŵ¡§¹Åç»Ô]
¡¡19³¬¤Þ¤Ç¤¬¥ª¥Õ¥£¥¹¥Õ¥í¥¢¤È¤Ê¤ê¡¢20³¬¤«¤é¤¬¥Û¥Æ¥ë¥Õ¥í¥¢¤È¤Ê¤ê¤Þ¤¹¡£

21¡Á31³¬Ê¿ÌÌ¿Þ[½Ðŵ¡§¹Åç»Ô]
¡¡31³¬¤Þ¤Ç¥Û¥Æ¥ë¥Õ¥í¥¢¤È¤Ê¤ê¤Þ¤¹¤¬¡¢30³¬¤È31³¬¤Ï¥ì¥¹¥È¥é¥óÅù¤Ë¤Ê¤ë¤«¤È»×¤¤¤Þ¤¹¡£

R³¬¡ÁPH2³¬Ê¿ÌÌ¿Þ[½Ðŵ¡§¹Åç»Ô]
¡¡²°¾å³¬¤Ïµ¡³£¼¼Åù¤Ë¤Ê¤ê¤Þ¤¹¡£
°ÌÃÖ¿Þ

°ÌÃÖ¿Þ[½Ðŵ¡§¹Åç»Ô]
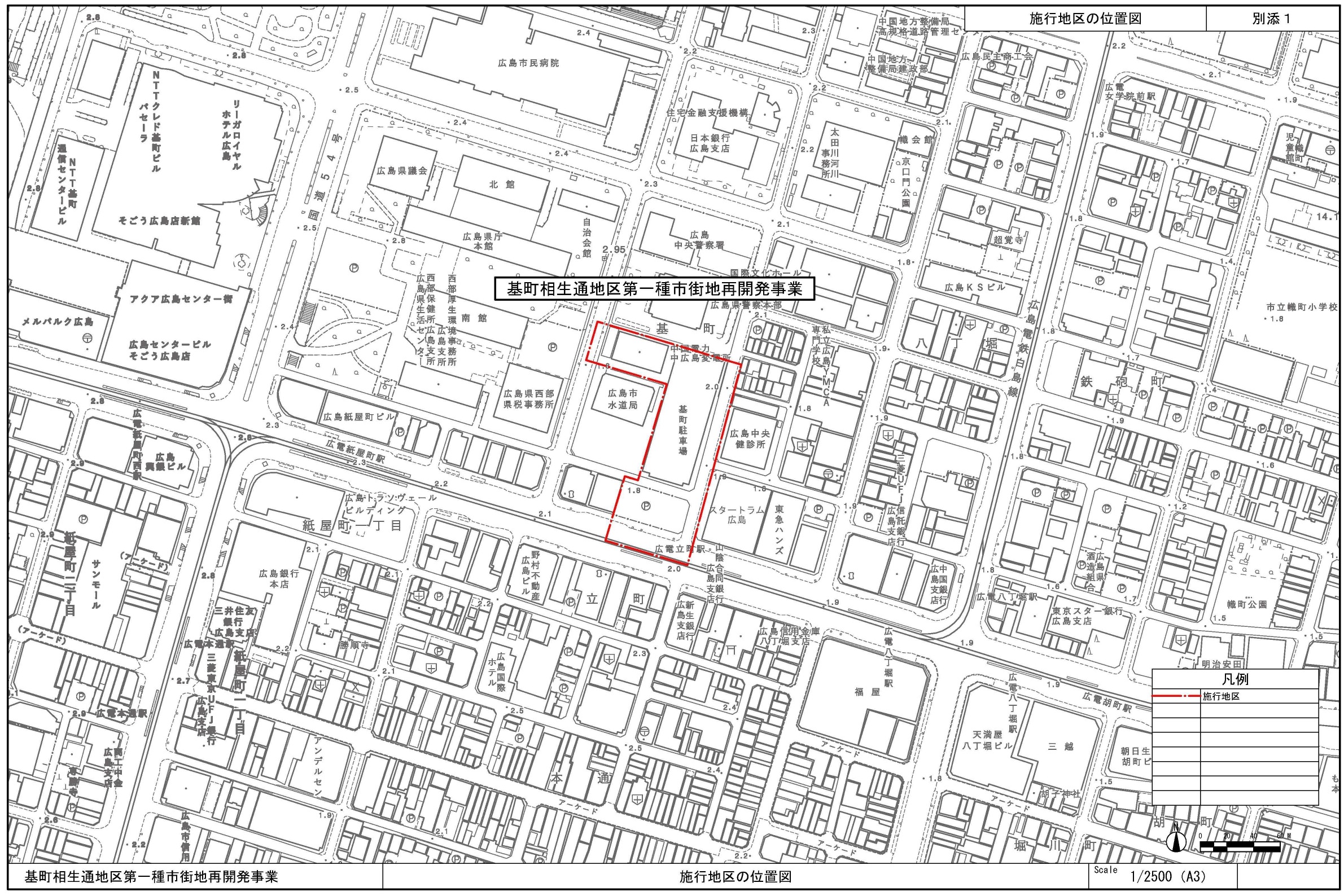
¡¡·×²èÃϤÏJR¹Åç±Ø¤ÎÀ¾Â¦¡¢¹Å縩ģ¤ÎÅ즡¢¹Åç¾ë¤ÎÆîÅ즡¢¸¶Çú¥É¡¼¥à¤ÎÅ즤˰ÌÃÖ¤·¤Æ¤¤¤Þ¤¹¡£

°ÌÃÖ¿Þ[½Ðŵ¡§¹Åç»Ô]
¡¡ÉßÃÏ¤ÎÆî¦¤Ï¹ÅçÅÅÅ´¤âÄ̤ëÁêÀ¸Ä̤ê¤ËÌ̤·¤Æ¤ª¤ê¡¢Î©Ä®Ääα½ê¤ÎÌܤÎÁ°¤È¤Ê¤Ã¤Æ¤¤¤Þ¤¹¡£
¸½¶·

¡¡2023ǯ11·î20Æü¤ËÁêÀ¸Ä̤ê±è¤¤¤«¤é»£±Æ¤·¤¿¡Ö´ðÄ®ÁêÀ¸ÄÌÃ϶èÂè°ì¼ï»Ô³¹ÃϺƳ«È¯»ö¶È¡×(ÃϾå31³¬¡¢¹â¤µÌó160m)¤Î·×²èÃϤΰìÉô¤È¤Ê¤ë¡Öµì¹ÅçÄ«Æü¥Ó¥ë¡×À×ÃϤÎÃó¼Ö¾ì¤Ç¤¹¡£

¡¡¥³¥¤¥ó¥Ñ¡¼¥¥ó¥°¤È¤·¤ÆÍøÍѤµ¤ì¤Æ¤¤¤Þ¤·¤¿¤¬¡¢»£±Æ»þ¤Ë¤ÏÊĺ¿¤µ¤ì¤Æ¤¤¤Þ¤·¤¿¡£

¡¡¤½¤ÎÎ٤ˤ¢¤ë¡Ö¹Åç»Ô±Ä´ðÄ®Ãó¼Ö¾ì¡×¤Ç¤¹¡£¤³¤³¤È¡Öµì¹ÅçÄ«Æü¥Ó¥ë¡×À×ÃϤÎÃó¼Ö¾ì¤Î´Ö¤Ë¤¢¤ëƻϩ¤ÏÉõº¿¤µ¤ì¤º¤Ë¡¢Æ»Ï©¾å¶õ¤Ë·úʪ¤¬·úÀߤµ¤ì¤Þ¤¹¡£

¡¡¤³¤Á¤é¤ÎÃó¼Ö¾ì¤Ï¤Þ¤ÀÍøÍѤµ¤ì¤Æ¤¤¤ë¤è¤¦¤Ç¤·¤¿¤¬¡¢2023ǯ12·î14Æü¤«¤é2024ǯ9·îËö¤Þ¤Ç¤Ë²òÂΤµ¤ì¤ë¤È¤Î¤³¤È¤Ç¤¹¡£
ÃÏ¿Þ
ʪ·ï³µÍסʹâÁØÅï¡Ë
»ö¶È̾¡§´ðÄ®ÁêÀ¸ÄÌÃ϶èÂè°ì¼ï»Ô³¹ÃϺƳ«È¯»ö¶È
½êºßÃÏ¡§¹Å縩¹Åç»ÔÃæ¶è´ðÄ®
¸òÄÌ¡§¹ÅçÅÅÅ´¡ÖΩĮÄäα¾ì¡×
¡¡¡¡¡¡¥¢¥¹¥È¥é¥à¥é¥¤¥ó¡ÖËÜÄ̡ױØ
ÍÑÅÓ¡§¥Û¥Æ¥ë¡¢»ö̳½ê¡¢Å¹ÊÞ¡¢Ãó¼Ö¾ì
³¬¿ô¡§ÃϾå31³¬¡¢Ãϲ¼1³¬
¹â¤µ¡§Ìó160m
¹½Â¤¡§Å´¹ü¤¡¢Å´¶Ú¥³¥ó¥¯¥ê¡¼¥È¤¡¢Å´¹üÅ´¶Ú¥³¥ó¥¯¥ê¡¼¥È¤
ÉßÃÏÌÌÀÑ¡§Ìó7,500Ö¡ÊÁ´ÂΡË
·úÃÛÌÌÀÑ¡§Ìó5,900Ö¡ÊÁ´ÂΡË
±ä¾²ÌÌÀÑ¡§Ìó77,900֡ʹâÁØÅï¡Ë
¡¡¡¡¡¡¡¡¡¡Ìó86,300Ö¡ÊÁ´ÂΡË
·úÃۼ硧ÅÔ»ÔºÆÀ¸µ¡¹½(Âåɽ)¡¢Ä«Æü¿·Ê¹¼Ò¡¢Ä«Æü¥Ó¥ë¥Ç¥£¥ó¥°¡¢Ãæ¹ñÅÅÎϥͥåȥ¥¯
Àß·×¼Ô¡§¡Ý
»Ü¹©¼Ô¡§¡Ý
¹©´ü¡§2024ǯ10·îÃ幩¡Á2027ǯÅÙ½×¹©Í½Äê
½Ðŵ
¢§ÃæÔ¢¿·Ê¹¡Ê2023ǯ11·î24Æü¡Ë
µì¹Åç»Ô±Ä´ðÄ®Ãó¼Ö¾ì¤ÎºÆ³«È¯¡¢¹âÁØ¥Ó¥ë2024ǯ10·îÃ幩¤Ø¡¡¹Åç»ÔÃæ¶è
¢¨ ¥ê¥ó¥¯Àè¤ÏYahoo¥Ë¥å¡¼¥¹
¢§¹Åç»Ô¡§¹Åç»Ô¤Î»Ô³¹ÃϺƳ«È¯»ö¶È¡Ê2023ǯ10·î2Æü¹¹¿·¡Ë
´ðÄ®ÁêÀ¸ÄÌÃ϶è»Ô³¹ÃϺƳ«È¯»ö¶È
- ¥«¥Æ¥´¥ê
- ¹Å縩







