
³°´Ñ¥¤¥á¡¼¥¸[½Ðŵ¡§»°É©ÃϽê]
¡¡»°É©ÃϽ꤬Æâ¿ÀÅĤ˷úÀߤ¹¤ë¡Ö(²¾¾Î)Æâ¿ÀÅİìÃúÌܷײè¡×(ÃϾå26³¬¡¢¹â¤µÌó130m)¤Î´°À®Í½ÁۿޤǤ¹¡£·úÀßÃϤÏÂç¼êÄ®¤«¤é¼óÅÔ¹â(ÆüËܶ¶Àî)¤ò¶´¤ó¤À¿ÀÅĦ¤Ç¡¢ºÇ´ó¤ê±Ø¤ÏÂç¼êÄ®±Ø¤È¤Ê¤ê¤Þ¤¹¡£Âç¼êÄ®±Ø¤È¸À¤Ã¤Æ¤â5Ï©Àþ¤¬¾è¤êÆþ¤ì¤Æ¤¤¤Þ¤¹¤¬¤½¤ÎÃæ¤Ç¤âÅìµþ¥á¥È¥í´Ý¤ÎÆâÀþ¤¬ºÇ¤â¶á¤¤±Ø¤È¤Ê¤ê¤Þ¤¹¡£
¡¡¸½ºß¤Ï´û¸¥Ó¥ë¤Î¡ÖÆüΩ³ùÁÒ¶¶¥Ó¥ë¡×¤È¡Ö¥³¡¼¥×¥Ó¥ë¡×¤Î²òÂι©»öÃæ¤Ç2022ǯ7·î1Æü¤ËÃ幩ͽÄê¤È¤Ê¤Ã¤Æ¤¤¤Þ¤¹¡£

³µÍ׿Þ[½Ðŵ¡§¹ñÅÚ¸òÄ̾Ê]
¡¡µ¬ÌϤÏÃϾå26³¬¡¢Åã²°2³¬¡¢Ãϲ¼3³¬¡¢¹â¤µÌó130m¡¢±ä¾²ÌÌÀÑÌó85,400֤ǡ¢¤³¤Î¿Þ¤ò¸«¤ë¸Â¤ê¤Ç¤ÏÃϲ¼¤ËÃó¼Ö¾ì¡¢ÃϾå1³¬¡Á4³¬¤ËŹÊÞ¤ä¥Ó¥¸¥Í¥¹»Ù±ç»ÜÀß¡¢5³¬¡Á25³¬¤¬¥ª¥Õ¥£¥¹¥Õ¥í¥¢¤È¤Ê¤ê¤Þ¤¹¡£26³¬¤Þ¤Ç1¥Õ¥í¥¢Â¤ê¤Ê¤¤¤Î¤Ç26³¬¤Ïµ¡³£¼¼¤Ë¤Ê¤Ã¤Æ¤¤¤ë¤Î¤«¤â¤·¤ì¤Þ¤»¤ó¡£

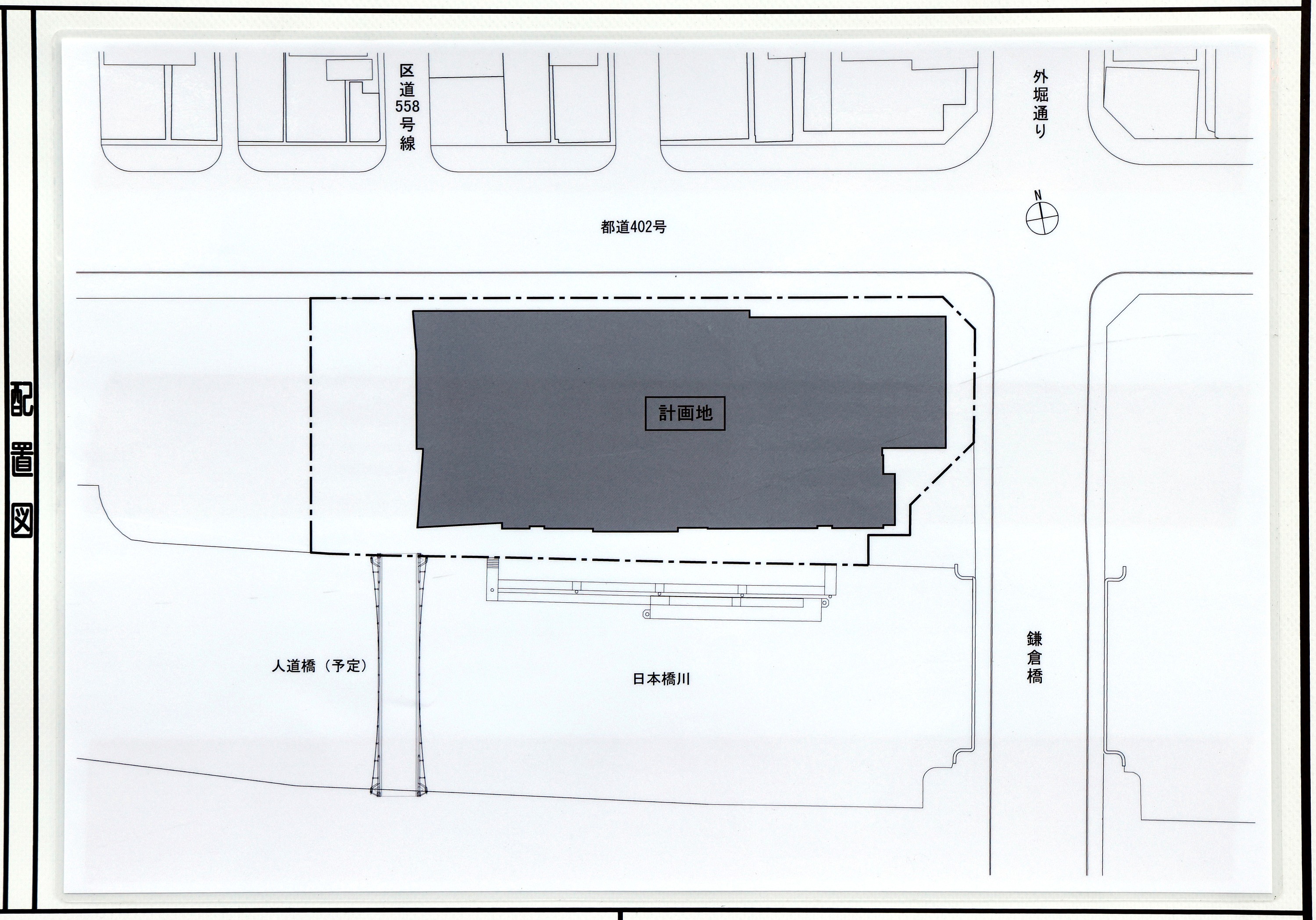
¶¹°è¿Þ[½Ðŵ¡§»°É©ÃϽê]
¡¡Æ±ºÆ³«È¯¤Ç¤ÏÆüËܶ¶Àî¤Ë¿ÍÆ»¶¶¤ò²Í¤±¤ë·×²è¤¬¤¢¤ê¡¢Âç¼êÄ®ÃçÄ̤ê¤Ë·Ò¤¬¤êÂç¼êÄ®¡¦´Ý¤ÎÆâ¡¦Í³ÚÄ®¥¨¥ê¥¢¤òÆîË̤˴Ӥ¯¡ÖÃçÄ̤ê¡×µ¡Ç½¤¬¿ÀÅÄ¥¨¥ê¥¢¤Þ¤Ç±ä¿¤µ¤ì¤ë¤³¤È¤Ë¤Ê¤ê¤Þ¤¹¡£¤Þ¤¿¡¢¿ÀÅÄ¡¦Âç¼êÄ®¥¨¥ê¥¢¤Î·ëÀáÅÀ¤È¤Ê¤ë¾ì½ê¤Ë¤ÏÌó1000֤θòή¹¾ì¤äÀ°ËɺÒÁ¥Ãå¾ì¤ÎÀ°È÷¤â¹Ô¤ï¤ì¤Þ¤¹¡£¹¾ì¤ÏºÒ³²»þ¤Î°ì»þÂÚα¾ì½ê¤È¤Ê¤ê¡¢·úʪÆâ¤Î¥¨¥ó¥È¥é¥ó¥¹¥Û¡¼¥ë¤Ê¤É¤Ï°ì»þÂں߻ÜÀߤȤ·¤Æµ¢Âðº¤Æñ¼Ô¤Ë³«Êü¤µ¤ì¤ë·×²è¤È¤Ê¤Ã¤Æ¤¤¤Þ¤¹¡£

¿ÍÆ»¶¶¥¤¥á¡¼¥¸[½Ðŵ¡§»°É©ÃϽê]
¡¡¤½¤Î¿ÍÆ»¶¶¤Î¥¤¥á¡¼¥¸¿Þ¤Ç¤¹¡£³«ÊüŪ¤Ê¶õ´Ö¤Ë¸«¤¨¤Þ¤¹¤¬Çö¤Ã¤¹¤éÀþ¤¬Æþ¤Ã¤Æ¤¤¤ë¤Î¤Ï¼óÅÔ¹â¤Ç¡¢¤³¤³¤Ï¼óÅÔ¹âÃϲ¼²½¤ÎÈϰϳ°¤Ê¤Î¤Ç¼óÅÔ¹â¤Î²¼¤ò¿ÍÆ»¶¶¤¬Ä̤뤳¤È¤Ë¤Ê¤ê¤Þ¤¹¡£

ËɺÒÁ¥Ãå¾ì¥¤¥á¡¼¥¸[½Ðŵ¡§»°É©ÃϽê]
¡¡ËɺÒÁ¥Ãå¾ì¤Î¥¤¥á¡¼¥¸¿Þ¤Ç¤¹¡£¤³¤Á¤é¤Î¿Þ¤ÎÊý¤¬¼óÅԹ⤬¤ï¤«¤ê¤ä¤¹¤¤¤«¤È»×¤¤¤Þ¤¹¡£·úʪÆâ¤Ë¤Ï´Ñ¸÷°ÆÆâ½ê¤¬ÀßÃÖ¤µ¤ì¡¢½®±¿¥µ¡¼¥Ó¥¹¤È¤ÎÏ¢·È¤âͽÄꤷ¤Æ¤¤¤ë¤È¤Î¤³¤È¤Ê¤Î¤Ç¡¢¾ÍèŪ¤Ë¤Ï¼óÅÔ¹âÃϲ¼²½¤µ¤ì¤¿ÆüËܶ¶Àî¤Î¥¯¥ë¡¼¥ºÁ¥¤ÎȯÃå¾ì½ê¤È¤Ê¤ë¤«¤â¤·¤ì¤Þ¤»¤ó¡£

¡¡¸½ÃϤËÀßÃÖ¤µ¤ì¤¿·úÃ۷ײè¤Î¤ªÃΤ餻¤Ë·ÇºÜ¤µ¤ì¤Æ¤¤¤¿ÇÛÃֿޤǤ¹¡£ÆüËܶ¶Àî¤Ë²Í¤±¤é¤ì¤ë¿ÍÆ»¶¶¤âÉÁ¤«¤ì¤Æ¤¤¤Þ¤¹¡£

¡¡³°´Ñ¿Þ¤â·ÇºÜ¤µ¤ì¤Æ¤ª¤ê¡¢¤³¤ì¤Ë¤è¤ë¤ÈÉýÌó88m¡¢±ü¹Ô¤Ìó35m¤ÎÈľõ¤Î͹âÁØ¥ª¥Õ¥£¥¹¥Ó¥ë¤Ë¤Ê¤ë¤³¤È¤¬¤ï¤«¤ê¤Þ¤¹¡£

¡¡´û¸¥Ó¥ë¤Î²òÂι©»ö¤¬¹Ô¤ï¤ì¤Æ¤¤¤ë¡Ö(²¾¾Î)Æâ¿ÀÅİìÃúÌܷײè¡×¤Î·×²èÃϤǤ¹¡£11·î23Æü¤Ë»£±Æ¤·¤Þ¤·¤¿¡£¿¿²£¤ËÆüËܶ¶Â¦¤È¼óÅԹ⤬¤¢¤ê¡¢¤³¤³¤Ë¿ÍÆ»¶¶¤¬²Í¤±¤é¤ì¤Þ¤¹¡£·úʪËÜÂÎ¤ÏÆüËܶ¶À¤é¿ô¥á¡¼¥È¥ëÎ¥¤ì¤¿¾ì½ê¤Ë¤Ê¤ë¤È»×¤¤¤Þ¤¹¤¬¡¢¥¤¥á¡¼¥¸¿Þ¤Î¤è¤¦¤ÊÌÀ¤ë¤¤³«ÊüŪ¤Ê¶õ´Ö¤Ë¤Ê¤ë¤Î¤«¤É¤¦¤«¤Ïº£¤ÎÃʳ¬¤Ç¤Ï²¿¤È¤â¸À¤¨¤Þ¤»¤ó¡£

¡¡È¿»þ·×²ó¤ê¤Ë¥°¥ë¤Ã¤È°ì¼þºÜ¤»¤Æ¤¤¤¤Þ¤¹¡£¤³¤ì¤Ï³ùÁÒ¶¶¼êÁ°¤«¤é¤Î»£±Æ¤Ç¡ÖÆüΩ³ùÁÒ¶¶¥Ó¥ë¡×¤Î²òÂι©»ö¤¬¹Ô¤ï¤ì¤Æ¤¤¤Þ¤¹¡£

¡¡ËÌÅ즤ϳùÁÒ¶¶¸òº¹ÅÀ¤ËÌ̤·¤¿³ÑÃϤǤ¹¡£

¡¡9³¬·ú¤Æ¤Î¥Ó¥ë¤Ç¤·¤¿¤¬´û¤Ë¿ô¥Õ¥í¥¢¤Ï²òÂκѤߤΤ褦¤Ç¤·¤¿¡£

¡¡¤½¤ÎÎ٤DzòÂι©»öÃæ¤Î¡Ö¥³¡¼¥×¥Ó¥ë¡×¤Ç¤¹¡£

¡¡¤³¤Á¤é¤ÏÃϾå11³¬·ú¤Æ¤Î¥Ó¥ë¤Ç¤·¤¿¡£

¡¡Âç¼êĮ¦¤«¤é»£±Æ¡£°ÊÁ°¤Ï¤³¤ÎÊդ꤫¤éÅã²°¤¬¸«¤¨¤¿¤È»×¤¦¤Î¤Ç¤¹¤¬¡¢º£¤Ï²òÂΤµ¤ì¤¿¤Î¤«¸«¤¨¤Ê¤¯¤Ê¤Ã¤Æ¤¤¤Þ¤·¤¿¡£

¡¡¾¯¤·¸Å¤¤¤Ç¤¹¤¬10·î30Æü¤ËÅìµþ¥¹¥«¥¤¥Ä¥ê¡¼¤Îŷ˾²óϤ«¤é¸«¤¿¡Ö(²¾¾Î)Æâ¿ÀÅİìÃúÌܷײè¡×¤Î·×²èÃÏÊýÌ̤Ǥ¹¡£²òÂι©»ö¤Î¾ì¤Çʤ¤ï¤ì¤Æ¤¤¤ë¥Ó¥ë¤¬²òÂι©»öÃæ¤Î¡Ö¥³¡¼¥×¥Ó¥ë¡×¤Ç¤¹¡£

¡¡¾¯¤·¹³Ñ¤Ç»£±Æ¤·¤¿ÆüËܶ¶¤«¤éÂç¼êÄ®¤Þ¤Ç³¤¯Ä¶¹âÁإӥ뷲¤Ç¤¹¡£¤³¤Î±¦Ã¼¤ÎÊý¤¬¡Ö(²¾¾Î)Æâ¿ÀÅİìÃúÌܷײè¡×¤Î·úÀßÃϤǡ¢¤³¤Î͹âÁإӥ뷲¤ÎËÌü¤Ë°ÌÃÖ¤·¤Æ¤¤¤Þ¤¹¡£

¡¡·úÃ۷ײè¤Î¤ªÃΤ餻¤Ç¤¹¡£Ã幩ͽÄê¤ÏµºÜ¤¬¤¢¤ë¤Î¤Ç¤¹¤¬½×¹©Í½Äê¤ÎµºÜ¤¬¤¢¤ê¤Þ¤»¤ó¤Ç¤·¤¿¡£¸µ¡¹¤Ï2022ǯ5·î1ÆüÃ幩¡Á2025ǯ12·î31Æü½×¹©Í½Äê¤À¤Ã¤¿¤Î¤¬¡¢Ã幩¤¬2¥õ·î¤º¤ì¹þ¤ó¤Ç¤¤¤ë¤Î¤Ç¡¢½×¹©¤â2¥õ·î¤º¤ì¹þ¤ß¤Ê¤é¤Ð2026ǯ2·îËö¤Î½×¹©¤È¤Ê¤ê¤Þ¤¹¡£»Ü¹©¼Ô¤ÎÍó¤â¤¢¤ê¤Þ¤»¤ó¤¬²òÂι©»ö¤ò¹Ô¤Ã¤Æ¤¤¤ëÂçÀ®·úÀߤˤʤ뤫¤È»×¤¤¤Þ¤¹¡£
¢£Êª·ï³µÍ×¢£
̾¾Î¡§(²¾¾Î)Æâ¿ÀÅİìÃúÌܷײè
½êºßÃÏ¡§ÅìµþÅÔÀéÂåÅĶèÆâ¿ÀÅÄ£±ÃúÌÜ31ÈÖ11¡¢12¡¢13¡¢14¡¢15
ÍÑÅÓ¡§»ö̳½ê¡¢Å¹ÊÞ¡¢¥Ó¥¸¥Í¥¹»Ù±ç»ÜÀß¡¢Ãó¼Ö¾ìÅù
³¬¿ô¡§ÃϾå26³¬¡¢Åã²°2³¬¡¢Ãϲ¼3³¬
¹â¤µ¡§Ìó130m
¹½Â¤¡§ÃϾåS¤¡¢Ãϲ¼SRC¤¡Ê°ìÉôS¤¡Ë
ÉßÃÏÌÌÀÑ¡§5,105.85Ö
·úÃÛÌÌÀÑ¡§Ìó3,350Ö
±ä¾²ÌÌÀÑ¡§85,400Ö
·úÃۼ硧»°É©ÃϽê
Àß·×¼Ô¡§»°É©ÃϽêÀß·×
»Ü¹©¼Ô¡§Ì¤Äê
¹©´ü¡§2022ǯ7·î1ÆüÃ幩¡Á2026ǯ2·îËöÆü¡©½×¹©Í½Äê
- ¥«¥Æ¥´¥ê
- ͹âÁØ¥Ó¥ëÆüµ(ÅìµþÊÔ)







